![]() |
Embora a Caatinga seja o único bioma exclusivamente brasileiro, é também o menos pesquisado. Por ter apoiado um trabalho do Laboratório de Morfo-Taxonomia Vegetal da Universidade Federal de Pernambuco (UFPE)1, a Fundação Grupo Boticário de Proteção à Natureza2 foi homenageada na hora de se escolher um nome para uma nova espécie de planta, a Gymnanthes boticario.
A Gymnanthes boticario não é a primeira referência que a fundação recebe. Ela está no mesmo grupo que o anfíbio Megaelosia boticariana, os peixes Aphyolebias boticarioi e Listrura boticario, além de outra espécie vegetal, a Passiflora boticarioana Cervi.
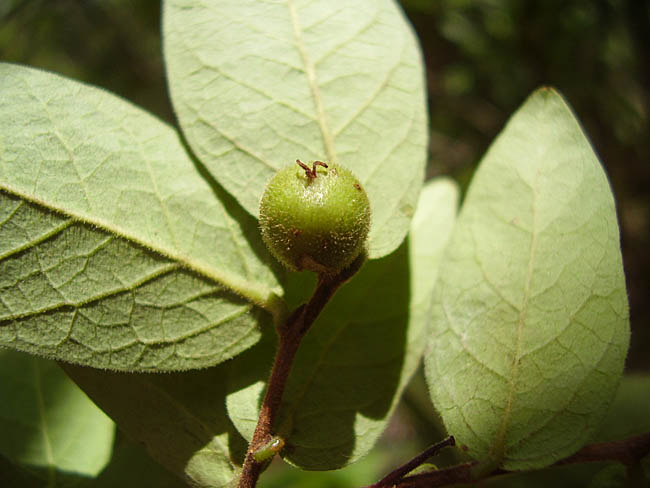
Antes da descoberta, eram conhecidas 45 plantas do gênero Gymnanthes, três dessas endêmicas no Brasil. A planta foi descrita em artigo publicado em dezembro de 2010, no volume 40 da publicação Willdenowia – Anuário do Jardim Botânico e do Museu Botânico de Berlin-Dahlen3. O gênero Gymnanthes é da tribo Hippomaneae. A Gymnanthes boticario é da família Euphorbiaceae, a mesma de velames, urtigas, mameleiros e leiteiras, comuns na Caatinga.
A planta ocorre em áreas arenosas ou pedregosas, com altitudes entre 400 e 900 metros. A altura da espécie é de um a quatro metros, suas flores são pequenas, amarelo-creme e não exalam perfume. Sua ocorrência foi verificada nos estados Pernambuco, Piauí, Paraíba, Ceará, Bahia e Rio Grande do Norte.
A espécie foi coletada, pela primeira vez, em 31 de maio de 2006, em Mirandiba, no sertão pernambucano. Em 2007, a pesquisadora Maria de Fátima de Araújo Lucena registrou novos indivíduos no Parque Nacional Serra da Capivara (PI).
![]() |
Novas populações da Gymnanthes boticario foram encontradas em Pedra Branca (PB), na Serra de Olho d’Água, uma região a 740 metros de altitude. De acordo com Maria de Fátima, todos os espécimes já coletados foram encontrados em remanescentes de Caatinga bem preservados, com pouca intervenção humana e, por vezes, de difícil acesso, com vegetação predominante arbustiva e arbórea.
À época da descoberta, Maria de Fátima estava desenvolvendo sua tese de doutorado “Velames, urtigas, mameleiros e leiteiras: a diversidade de Euphorbiaceae no semiárido nordestino” com a orientação do professor Marccus Alves. Ela contou com a ajuda do especialista alemão Hans-Joachim Esser, do Botanische Staatssammlung de Munique4, tradicional instituição de pesquisa alemã, para a identificação da nova espécie.
Durante o projeto foi feito um inventário florístico da família Euphorbiaceae com necessidade de investigação científica ou cujo conhecimento botânico fosse escasso. Os locais selecionados para o estudo foram as unidades de conservação Parques Nacional Serra da Capivara, no Piauí, e o Parque Nacional Serra de Itabaiana, em Sergipe, o município de Mirandiba, a região dos Cariris Paraibanos e uma área no município de Porto da Folha (Sergipe).
Com os produtos gerados no projeto foi possível identificar o panorama da diversidade taxonômica desse grupo de plantas em algumas áreas do semiárido conta Maria de Fátima. Foram registradas 28 novas ocorrências de espécies da família para a região Nordeste, além de identificadas populações de espécies raras e a descoberta da nova espécie para a ciência. Também foi realizado extenso levantamento da família nos principais herbários da região, com o objetivo de complementar dados de distribuição geográfica das espécies.
![]() |
A pesquisa confirmou a necessidade de inventariar novas áreas no bioma Caatinga. “A identificação de áreas e de ações prioritárias, como a pesquisa, tem-se mostrado um valioso instrumento para a conservação e proteção da Caatinga”, diz Maria de Fátima.
Por apresentarem alto potencial econômico, o gerenciamento sustentável de unidades de conservação e das áreas da Caatinga pode ajudar na manutenção das espécies da família Euphorbiaceae. “Ainda mais porque áreas como aquelas nas quais Gymnanthes boticario foi encontrada estão se tornado cada vez mais raras”, conta a pesquisadora. A Caatinga tem sido degradada pelo manejo inadequado de sua vegetação, exploração de pecuária extensiva e agricultura. “Essa situação coloca em risco a biodiversidade do bioma com número expressivo de espécies raras e endêmicas”, explica Maria de Fátima.
A região nordeste do Brasil comporta atualmente 245 espécies da família Euphorbiaceae, distribuídas, com maior frequência, nas áreas de Caatinga. Além dessa expressiva ocorrência, a família contempla um número considerável de espécies com potencial econômico no setor farmacológico-medicinal, industrial, madeireiro, ornamental, na produção de alimentos. Alguns exemplos são: mandioca (Manihot esculenta Crantz), mamona (Ricinus communis L), seringueira (Hevea brasiliensis), quebra-pedra (Phyllanthus niruri L), mameleiro (Croton blanchetianus Baill), quebra-faca (Croton micans Müll. Arg.), velame (Croton heliotropiifolius Kunth.), urtiga (Cnidosculos urens (L.) Arthur), flor-de-papagaio (Euphorbia pulcherrima), coroa-de-cristo (Euphorbia milli Dês Moul.) e pinhão (Jatropha curcas L.). O potencial econômico da Gymnanthes boticario não foi identificado. (Celso Calheiros)
1-Laboratório de Morfo-Taxonomia Vegetal da Universidade Federal de Pernambuco (UFPE) – http://www.ufpe.br/taxonomia/
2-Fundação Grupo Boticário de Proteção à Natureza - http://www.fundacaoboticario.org.br/
3-Willdenowia – Anuário do Jardim Botânico e do Museu Botânico de Berlin-Dahlen – http://www.bgbm.fu-berlin.de/bgbm/library/publikat/willdenowia.htm
4-http://www.botanischestaatssammlung.de/
Leia também
Gilmar Mendes pede urgência na votação do Marco Temporal
Na reta final do ano, ministro solicitou que o julgamento ocorra em formato virtual entre os dias 15 a 18 de dezembro, pouco antes do recesso do STF →
“Papagaio cientista”: monitoramento da ave revela nova população de ipês raros
Trabalho que seguia grupo de papagaio-chauá se deparou com as árvores criticamente ameaçada de extinção em área afetada pelo rompimento da barragem de Mariana →
Pesquisadores do Jardim Botânico descobrem nova espécie de bromélia
Espécie é endêmica da Mata Atlântica e foi coletada na Bahia; atividades humanas na região onde foi avistada ameaçam sua sobrevivência →








